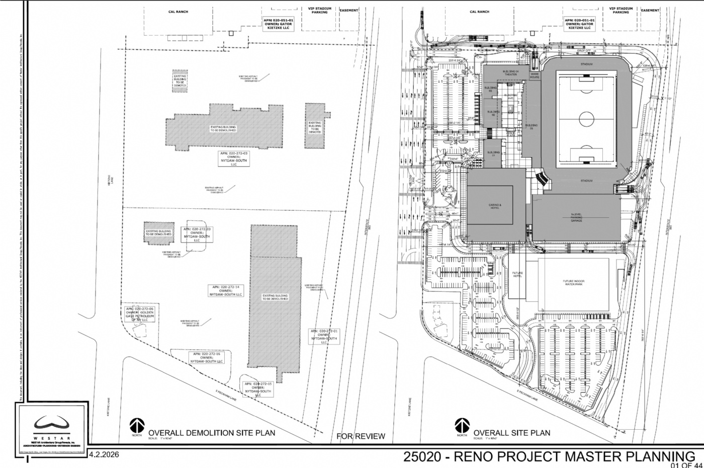
Planning permits have been submitted for a massive mixed-use entertainment district on 28 acres on the corner of Kietzke and Peckham, where a rent-a-center, Savers, Gorcery Outlet and King Buffet currently reside. That would all be demolished.
The project consists of:
1. A seven-story 301-room hotel/casino/convention center with a full non-restricted gaming license for a 71,210 square foot casino
2. A 13,077 square foot theater building
3. A multi-tenant retail building totalling 18,352 square feet with eight commercial spaces two restaurants, two bars, three retail spaces and a team store in a 55,000 sf retail 'village' with a 37,000-square-foot 'Electric Avenue' plaza.
4. A 99,432 square foot pro soccer stadium that will seat 7,000 people
5. A five-level parking garage.
6. The landscaping plan calls for 323 trees including 100 Amur Maples, 53 Western Catalpas, 69 Shademaster Honey Locusts, 33 Fat Albert Spruces, and 68 Chinese Pistaches, and over 1,500 shrubs/groundcovers.
This project is gigantic.
You can find a link to the permits along with all of the attachments here.
The project is titled 'Boulevard'








